羽曳野市樫山 面積24坪 賃貸事務所付倉庫物件 / 駐車場付テナント募集

TEL:06-6776-2517受付9:30〜18:00 マーシック有限会社
2026年05月30日 03時16分 (土)

<< 前のページに戻る

物件コード 11692  -  36010

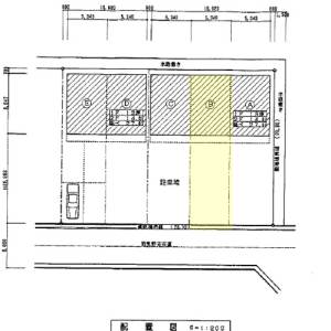
☆2階建て事務所付倉庫 前面駐車スペース付き4台 美原インター出口より車で5分
:1階倉庫仕様 13坪 2階事務所仕様 14.6坪 ゆったりした駐車スペース付き
物件種別 事務所付倉庫  《連棟式》 建物一部
所 在 階   1+2階 B
契約面積 23.60 坪( 78.02㎡)
多層階: 1階:13坪 2階:14.6坪
賃料 (税込)
税率 10%
賃料:176,000円     共益費込み
保証金:6.0ヶ月     解約引:2ヶ月
特記事項 更新料無し
特記事項
●火災保険加入要●賃貸保証会社加入要

物件概要  図面

   
住 所 大阪府羽曳野市樫山
交 通     駅   徒歩 分
区 分 コンパクトオフィス (規模: 小型 )
構造規模 鉄骨造  地上 2 階建 
建築年月1999年7月 新耐震
駐車施設 有り   収容 4
本体設備   ●流し台:室内専用 (電気温水器) ●洗面台:室内専用●トイレ:室内専用   ●空調関係:無 ●セキュリティー:無
使用時間 24時間使用可 日祝日の使用:使用可
道路 一方   東側道路幅員6m ●美原インター出口より車で5分
その他 第一種中高層住居専用地域    
備考水道代3,000円/月額 1F:電動シャッター、トイレ、手洗い 2F:事務所内装、シンク 1F/13坪 2F/14.6坪
更新日 2026-05-28  取引態様:仲介

※内覧、諸条件の相談はお気軽ご連絡ください。
ご来店前には必ずご連絡をお願い申し上げます。 電話06-6776-2517 土日祝日定休   

<< 前のページに戻る

おすすめ物件

おすすめ情報

広告掲載募集中

テナント募集掲載物件募集中!
当サイトへの掲載料は無料です。 貸し倉庫 貸し工場 貸し土地 貸しビル 商業物件 事業用物件 賃貸物件 売買物件 仲介物件を募集しております。
物件資料は、FAX 06-6776-2518 又は、メールにて受付ています。 (※ポータプルサイト掲載は有料になります。)

サイト運営会社

マーシック有限会社 仲介管理
〒542-0063
大阪市中央区東平2丁目1番28号
ノバカネイチ上町台103号

TEL:06-6776-2517
受付:9:30-18:00
定休日:土日祝日