大阪市平野区長吉長原西2丁目 面積24坪 賃貸事務所付倉庫物件 / 駐車場付テナント募集

TEL:06-6776-2517受付9:30〜18:00 マーシック有限会社
2026年02月21日 07時48分 (土)

<< 前のページに戻る

物件コード 6287  -  12709

☆貸事務所付倉庫(営業所) 前面駐車スペース2台付(月額賃料に含む)
:1F/11坪 2F/12.56坪 1F:電動シャッター 倉庫(スケルトン) 2F:事務所内装 ミニキッチン トイレ
物件種別 事務所付倉庫  建物一部
所 在 階   1+2階 G
契約面積 23.65 坪( 78.16㎡)
多層階: 1階:11坪 2階:12.65坪
賃料 (税込)
税率 10%
賃料:194,700円     共益費:3,300円
保証金:6.0ヶ月     解約引:3ヶ月
特記事項 更新料無し

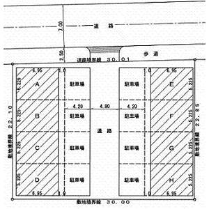
物件概要 写真A 写真B 図面

   
住 所 大阪府大阪市平野区長吉長原西2丁目
交 通 地下鉄谷町線     出戸 駅   徒歩 7 分
区 分 コンパクトオフィス (規模: 小型 )
構造規模 鉄骨造  地上 2 階建 
駐車施設 有り   収容 2
本体設備   ●流し台:室内専用 (電気温水器) ●洗面台:室内専用●トイレ:室内専用   ●空調関係:無 ●セキュリティー:無
使用時間 24時間使用可 日祝日の使用:使用可
道路 一方   7m(通路4.8m)
その他 第二種中高層住居専用地域    
備考1階 倉庫  11.00坪 2階 事務所 12.56坪 述べ23.56坪 設備:洗面・トイレ・ミニキッチン・電動シャッター 有効高:1階3.2m・2階2.6m 軒高 :1階3.3m・2階3.2m 土地1区画あたり約20.2坪 ゴミ代3000円共益費に含む
更新日 2026-02-20  取引態様:仲介

※内覧、諸条件の相談はお気軽ご連絡ください。
ご来店前には必ずご連絡をお願い申し上げます。 電話06-6776-2517 土日祝日定休   

<< 前のページに戻る

おすすめ物件

おすすめ情報

広告掲載募集中

テナント募集掲載物件募集中!
当サイトへの掲載料は無料です。 貸し倉庫 貸し工場 貸し土地 貸しビル 商業物件 事業用物件 賃貸物件 売買物件 仲介物件を募集しております。
物件資料は、FAX 06-6776-2518 又は、メールにて受付ています。 (※ポータプルサイト掲載は有料になります。)

サイト運営会社

マーシック有限会社 仲介管理
〒542-0063
大阪市中央区東平2丁目1番28号
ノバカネイチ上町台103号

TEL:06-6776-2517
受付:9:30-18:00
定休日:土日祝日